Terreno in vendita

Carpenedolo, Via Capomonte
€ 440.000
Prezzo aggiornato
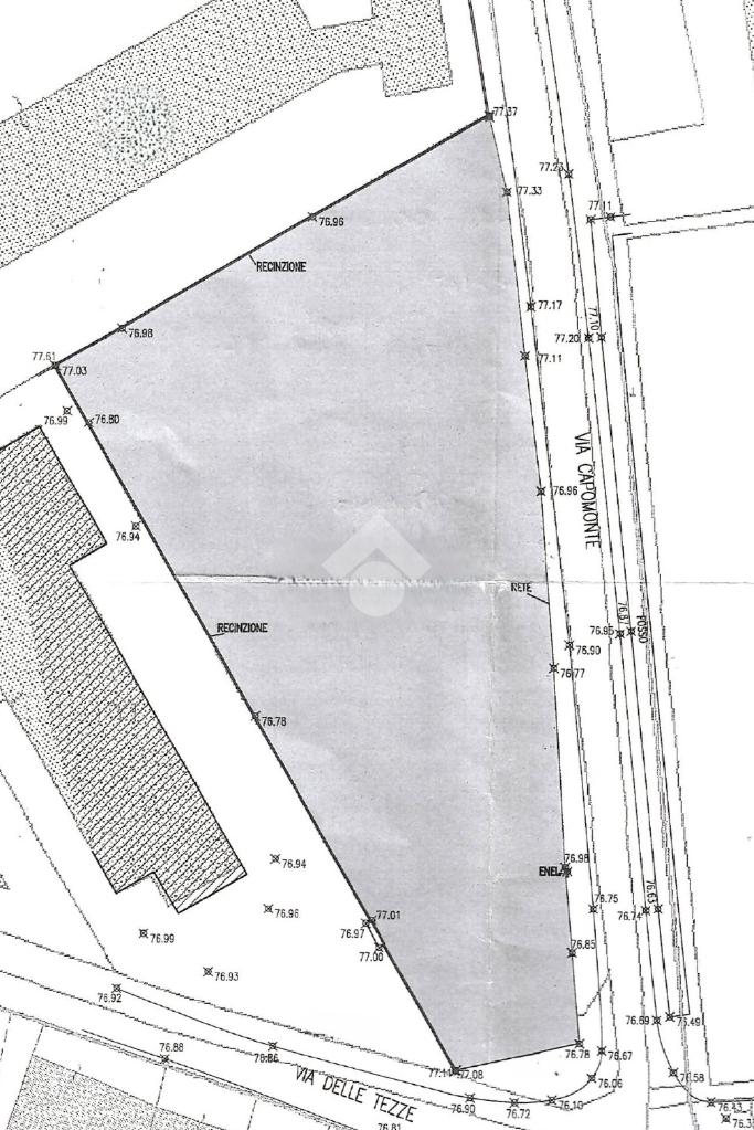
3529 Mq 3529 Mq

Terreno in vendita

Carpenedolo, Via Capomonte

Descrizione annuncio

COSA SAPERE DELL’IMMOBILE

Proponiamo in vendita terreno con destinazione commerciale di circa 3529 metri quadrati parzialmente urbanizzato, con rapporto di copertura del 40%.

DESCRIZIONE E PARTICOLARITA’

Proponiamo in vendita un lotto di circa 3529 metri quadrati, ideale per la realizzazione di un nuovo complesso commerciale moderno e funzionale. Avendo un rapporto di copertura del 40% (1411,6 metri quadrati), è possibile sviluppare, da convenzione, fino a 1.764,5 metri quadrati su più livelli di superficie commerciale, con la possibilità di destinare circa 150 metri quadrati ad uso residenziale.

Il terreno è già parzialmente urbanizzato, dotato di strade, parcheggi, illuminazione pubblica e allacci alla rete fognaria, garantendo così un avvio rapido ed agevole del progetto.

La restante parte del lotto è destinata agli standard urbanistici da cedere, principalmente per parcheggi e spazi di servizio.

Un’opportunità interessante per investitori e operatori del settore commerciale che cercano un’area pronta per lo sviluppo.

UBICAZIONE E CONTESTO

Via Capomonte è una strada ubicata nel comune di Carpenedolo, in una zona che combina attività commerciali, ricettive e artigianali. La via gode di buona accessibilità, è collegata alle arterie principali e ai servizi pubblici, rendendola una scelta strategica per chi cerca facilità di raggiungimento.

Mostra tutto

Nelle vicinanze

Trasporto pubblico Trasporto pubblico
Fermata APAM
Fermata APAM
870 m
Trasporto pubblico
2,6 Km
Scuole Scuole
Scuola Materna IV Novembre
830 m
Istituto Comprensivo di Carpenedolo
1,4 Km
Scuole
1,4 Km
Oratorio dei Novagli
2,9 Km
Supermercati Supermercati
Supermercati
120 m
LIDL
130 m
Centro Commerciale Italmark
1,2 Km
Penny Market
1,3 Km
Eurospin
1,9 Km
Negozi Negozi
Forneria Bosetti
2,7 Km
Bar Bar
Bar Gelateria "Zucchero Gelato"
2,6 Km
Central Bar
2,8 Km
Cafe de La Place
2,9 Km
Ristoranti Ristoranti
Pizzeria L'Alta Marea
2,7 Km
L'angolo nascosto
2,8 Km
Mostra tutto

Caratteristiche

Rif.:
61123048
Piano:
1 (Piano terra)
Condizionamento:
Assente
Ascensore:
No
Riscaldamento:
Assente
Giardino:
Privato
Mostra tutto
Prezzo Prezzo
€ 440.000
Rata mutuo Rata mutuo
€ 2.042 / mese
Spese annue Spese annue
€ 0
Proponi il tuo prezzoProponi il tuo prezzo

Classe Energetica

Questo immobile è esente da classe energetica
Riscaldamento:
Assente

Prezzo ridotto di €1 (11%%)

Ti interessa visionare l'immobile?

Fissa un appuntamento  Fissa un appuntamento

Richiedi informazioni

Clicca su Leggi per aprire l'informativa
* Questi campi sono obbligatori

Calcola il tuo mutuo

Semplice e senza impegno
Anticipo

( % )
Mutuo

( % )

pochi semplici passi

inserisci i tuoi dati
Questionario completato
Grazie per aver richiesto un appuntamento senza impegno con un nostro Consulente del Credito e Assicurativo.

Hai inserito correttamente tutti i dati necessari e a breve riceverai una e-mail con un link da convalidare per inviare i tuoi dati.
Affiliato
La Commerciale Real Estate Srl
Via Mons. Moreni, 83 25018 Montichiari (BS)

Il nostro staff


  • Enrico Lopedoto
    Affiliato

  • Daria Elena Iacobescu
    Responsabile

  • Matteo Pia
    Collaboratore

  • Melisa Tafilaku
    Coordinatrice

  • Eric Tamassia
    Collaboratore
Via Mons. Moreni, 83 25018 Montichiari (BS)
Zona: Montichiari-Castiglione D/S-Carpenedolo-Calcinato P/San Marco
Mostra su mappa
Orari: Lunedì - Venerdì 9.00-12.30 / 15.00-19.30Sabato9.00-12.30
Affiliato
La Commerciale Real Estate Srl
Via Mons. Moreni, 83 25018 Montichiari (BS)

2026 Tecnocasa Franchising S.p.A. - P. IVA 08365160152 - Via Monte Bianco 60/A 20089 Rozzano (MI). Ogni agenzia ha un proprio titolare ed è autonoma. Privacy policy | Policy utilizzo | Cookie policy